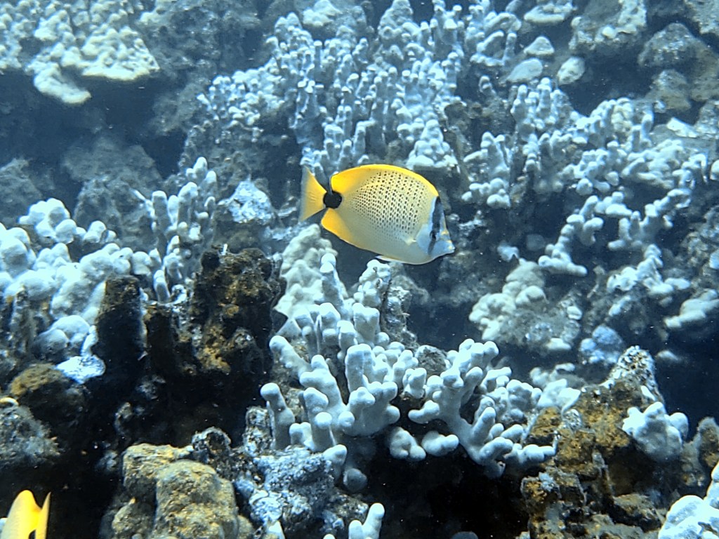
Some of the most beautiful fish we see diving in Hawaii are butterfly fish. They are colorful and very plentiful. There are so many that I sometimes forget to take pictures of them. But here are 14 different ones. Most are pretty common. Some are quite rare. I have also seen black long nose butterflies but I could not find a photo — for my next dives!

















